SPSS 표 모양을 학술 논문 형식으로 바꾸는 방법
아직도 표 형식 안 바꾸셨나요? 한번 따라 해 보세요!
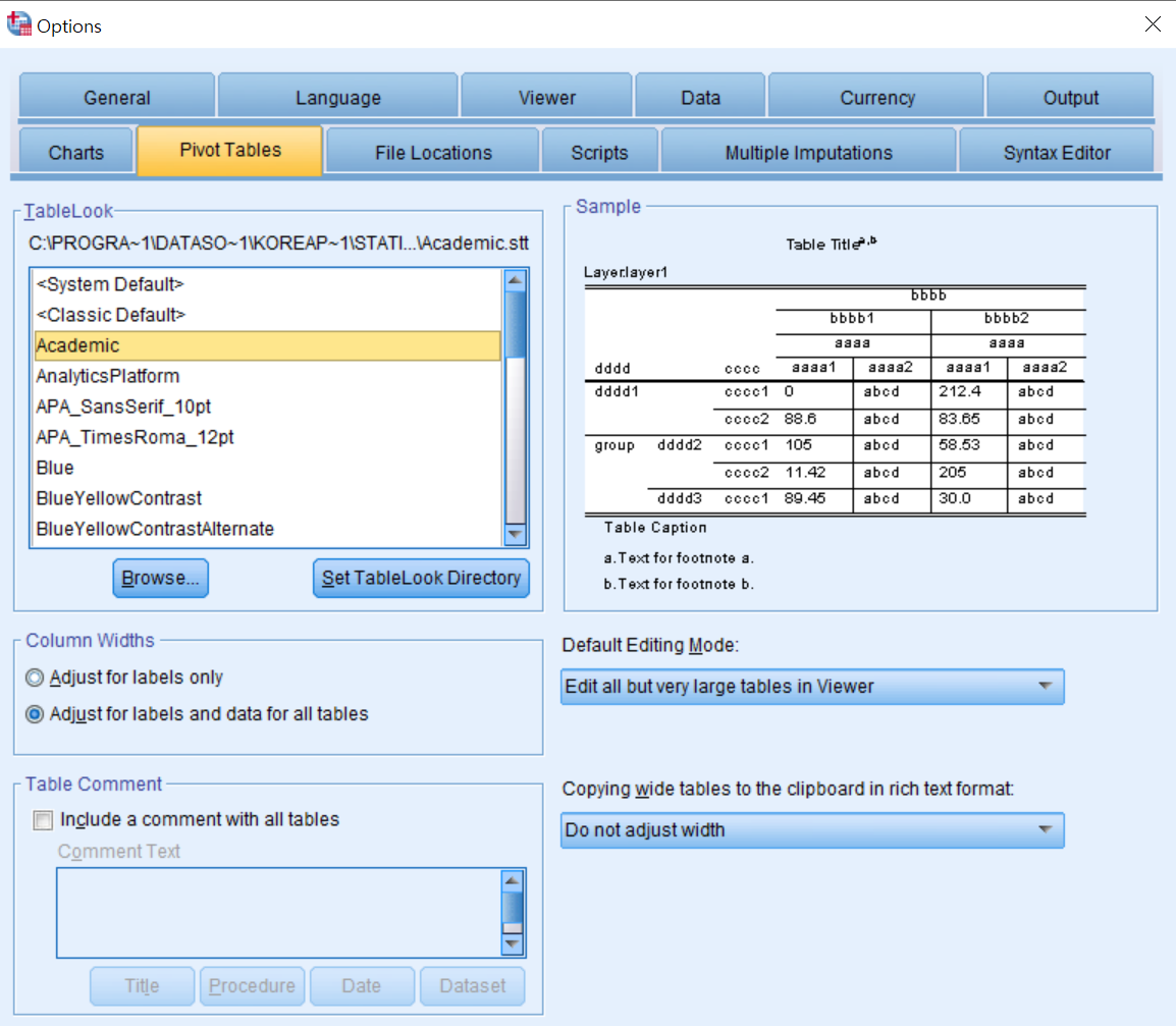
먼저 위에 파일 옆에 Edit(편집) 있지요? 가장 하단에 Option(옵션)을 눌러보세요!

그리고 피봇 테이블(Pivot Tables)을 찾아 눌러보세요! 여기서 표 형식을 원하는 형식으로 바꾸실 수 있습니다. Academic으로 하면 좋아요!

물론 논문에 집어넣을 세부적인 표는 엑셀에서 직접 작업하시길 추천드려요!
SPSS에서 바로 편집 작업을 하시는 분들도 기본을 이렇게 바꾸어놓고 하시면 더 수월할 거예요!
SPSS 관련해서 앞으로 종종 포스팅 올리겠습니다 ㅎㅎ
논문 정리 노하우 공개! Dynalist로 선행 연구 정리하기, 논문 글쓰기, 필기하기 (#논문 글쓰기 #다이날리스트 #notion #노션 #Workflowy #에버노트 #원노트)
논문 자료 정리 노하우 공개! Dynalist로 선행 연구 정리하기, 논문 글쓰기, 필기하기 (#논문 글쓰
"노션(notion) 저리 가라! Workflowy(워크플로위)저리 가라! Evernote(에버노트), 원노트(Onenote) 누구세요??" 제가 Dynalist(다이날리스트, 다이널리스트)라는 tool을 감히 말씀드리건대, 국내에서는 거의 가
beautifulresearch.tistory.com
후원
토스 혹은 Buy me a coffee를 통하여 커피 한잔의 후원을 받아보려고 합니다. 아주 대단한 정보는 아니지만 유용한 정보들을 시간 내서 찾고 공유하여 부족한 시간을 쪼개서 포스팅을 하고 있습니다. 고단한 대학원 생활의 단비가 될 것입니다! (익명 후원이 가능합니다)
1. 토스 후원 (https://toss.me/kaistphd)
2. Buy me a coffee 후원 (https://www.buymeacoffee.com/Kaistphd)

☆ 대학원생 스터디 톡방을 운영하고 있습니다 (계획, 기상 등 본인 원하는 것들 인증)! 연구에 외로운 대학원 동료분들 언제든 들어오세요! (https://open.kakao.com/o/gz2ZHI7c)
대학원생 스터디메이트 (스터디그룹)
#대학원생 #생활 #스터디 에요! #출근 & #기상 인증, #플래너 #인증 뭐든 좋아요 #대학원 #스터디그룹 #함께 #공부
open.kakao.com
[글쓴이 소개]
서강대학교 수학&심리 복수전공 최우등 졸업
KAIST 마케팅 전공 석사 최우등 졸업, 박사과정 수료
'📊 통계 & 프로그램' 카테고리의 다른 글
| ChatGPT로 코딩하기 & 설치.. 미쳤다! (5) | 2022.12.22 |
|---|---|
| SPSS 데이터 전처리 및 정리 간편하게 Syntax (코딩)로 하는 방법 (0) | 2022.05.17 |
| SPSS 코드(Syntax, 프로그래밍)로 하는 방법 차근차근 설명! (0) | 2022.05.16 |
| SPSS 결측치 결측값 0으로 만드는 방법, 결측치 있는 변수 더하는 방법 (Syntax 코딩) (0) | 2022.05.15 |
| 파이썬 주피터(python jupyter) 경로 설정 및 변경 방법 상세한 설명! (1) | 2022.03.01 |
댓글